with Access from Hidden Hill Drive and Dorsey Drive
SELLING AT ONLINE AUCTION
AUCTION BID DEADLINE: Wednesday, March 15, 2023
The second parcel consists of 4.45+/- acres of undeveloped land with an unknown amount of frontage on Lake Lanier, Hall County Tax Parcel #08021 001542. This tract includes a sewer easement. See "Documents" tab for copy of tax plat and easement.
Both parcels/tracts will be sold in a single offering.
ONLINE BIDDING REGISTRATION: Online bidding to begin on Friday, March 3, 2023. However, you may register now for the auction, regardless whether you intend to bid or not. By registering you will be kept up to date with any changes or updates related to the auction.
You are STRONGLY advised to inspect the property and reply on your own findings. Please contact Scott Schwartz at 404-550-3490 or scott@bullseyeauctions.com or Rick Sammons at 770-490-0798 or rick@bullseyeauctions.com
TERMS: Non-refundable earnest money deposit of 10% of the purchase price required within 24 hours of contract acceptance. Closing to occur within 30 days of contract acceptance.
LEGAL CONTRACT: Your participation in our auction is your acknowledgment and acceptance of the terms and conditions presented here. Your failure to adhere to any of these terms and conditions may constitute a breach of contract and may cause irreparable harm to Bullseye Auction & Appraisal and/or our client. In this event, we and/or our client(s) may attempt to recover any financial or other damages by pursuing any action afforded by law.
BUYER’S PREMIUM: There is a 10% Buyer’s Premium for this auction. Example: For a high bid of $100,000, a 10% buyer’s premium of $10,000 will be added making the purchase price $110,000.
BUYER’S NOTE: This property is being sold “AS IS, WHERE IS” with no warranties expressed or implied. Buyers should carefully verify all items and make their own decision as to the accuracy thereof before relying on the same. Items may be added or deleted without notice. All items subject to prior sale. Online bid increments are at Auctioneer’s discretion. All sales are final.
CLOSING: Closing must occur at The Law Offices of Russell C. Petersen, 303 Jesse Jewell Parkway, SE, Suite 100, Gainesville, GA 30501. Purchaser responsible for closing attorney fees. Property to close within 30 days of contract acceptance. Please click "Terms" for auction terms and conditions.
SALE MANAGERS:
Scott Schwartz at 404-550-3490, GAL# 2643
Rick Sammons at 770-490-0798, GAL# 3575
Auction Conducted By:
Bullseye Auction & Appraisal, LLC
6470 East Johns Crossing
Suite 160
Johns Creek, GA 30097
770-544-7479
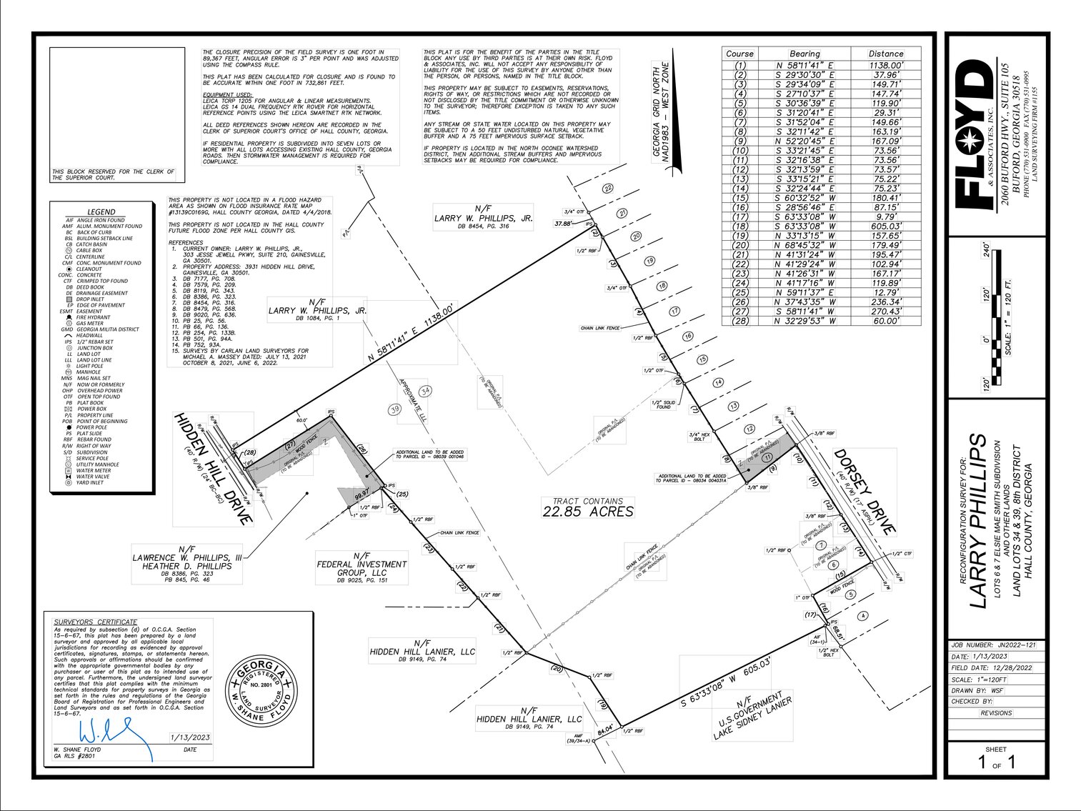
Phillips New Survey 1-13-23
Phillips New Survey 1-13-23Dock Permits
Dock PermitsSewer Easement
Sewer EasementSewer Easement 4.45 Acre Tract
Sewer Easement 4.45 Acre TractBullseye Auction and Appraisal Broker Registration Letter
Bullseye Auction and Appraisal Broker Registration LetterAUCTION GENERAL TERMS AND CONDITIONS
(Please refer to the auction specific terms & conditions for more detailed info)
AUCTION LOCATION & TIME: Auction location and time will be posted on individual website posting. If online only, registration and bid deadlines will be posted on individual website posting.
INSPECTION: Bidders are encouraged to make their own inspections prior to bidding. Please contact Auctioneer for instructions on how to inspect property.
AUCTION REGISTRATION: Registration for live auctions will begin one hour before the scheduled auction. For online auctions, please view individual auction posting on website for registration instructions.
BROKER PARTICIPATION: Unless noted otherwise in property listing or herein, a broker commission of twenty (20%) of Auctioneer commission will be paid on real estate. For most transactions, this will equate to a commission of two (2%) of the bid amount of that transaction. A commission will be paid to the properly licensed broker whose prospect purchases and closes on the real estate. To qualify for a commission, the Broker must register by mail, email, fax or hand delivery using the Broker Registration Form posted to the website for the property listing within 48 hours of the scheduled auction. Broker must also attend the auction and sign the Auction Real Estate Sales Contract if their client is the winning bidder. Commissions to be paid only upon closing. A Broker cannot act as a principal and a broker on the same transaction.
AGENCY: Bullseye Auction & Appraisal, LLC is acting exclusively as agent for the Seller.
TERMS: Unless otherwise noted on the website, the winning bidder will submit a non-refundable ten percent (10%) earnest money deposit of the purchase price (high bid amount plus buyer’s premium) made payable to Bullseye Auction & Appraisal, LLC Escrow Account or Designated Escrow Agent. Immediately following the auction, winning bidder will sign an “as-is” Auction Real Estate Sales Contract. A copy of the Auction Real Estate Sales Contract may be reviewed prior to the auction. Please contact Auctioneer for a copy.
CLOSING: Unless otherwise noted, balance of the purchase price is due within 30 days of Auction Real Estate Sales Contract acceptance.
CLOSING ATTORNEY: Closing to occur at the offices of the Seller Designated Attorney. Buyer is responsible for all closing fees charged by Seller Designated Attorney.
BUYER’S PREMIUM: A buyer’s premium MAY OR MAY NOT be added to the high bid. Not all auctions have a Buyer's Premium added to the high bid amount. Check actual property description for details on whether or not there is a Buyer's Premium charged for this auction. If a Buyer's Prmium is charged, the total premium is 10% of the high bid amount. Example: For a high bid of $100,000, a 10% buyer’s premium of $10,000 will be added making the purchase price $110,000.
AUCTIONEER’S AUTHORITY: Bid increments are at the discretion of the Auctioneer. Auctioneer shall make the final decision as to the final high bid amount and winning bidder.
FINANCING: Financing is NOT a contingency to the Auction Real Estate Sales Contract. Bidders are encouraged to make have all necessary financing in place prior to registering for the auction.
INSURABLE TITLE: Unless otherwise noted and announced at the auction, Auction Real Estate Sales Contract is contingent upon Sellers ability to convey insurable title.
SPECIAL NOTE: Property is selling “as-is, where is” with all faults and is selling subject to easements, leases, restrictions, zoning, covenants, conditions and all other matters revealed by a survey or by inspection of the property or contained in public records. Real property to be conveyed by limited or special warranty deed. Only the following sale closing costs will be paid by seller: (1) Commissions or brokerage fees to auctioneer and/or cooperating Brokers as set forth in separate agreement with auctioneer, and as established in these Terms and Conditions; (2) reasonable title corrective expenses, in Seller’s sole determination; and (3) prorated property taxes and back taxes due, if any. All other closing costs, including but not limited to surveys, title examination, tax stamps, loan closing costs, and closing attorney fees are at the expense of the Buyer. Unless noted otherwise, Buyers pay all closing fees charged by closing attorney.
Although every precaution has been taken to ensure the accuracy of all printed and announced information, neither the seller, Bullseye Auction and Appraisal, LLC, nor their agents will be responsible for any errors or omissions herein. Bidders are encouraged to carefully inspect the property and information before registering for the auction and placing a bid. Auctioneer reserves the right to add or delete any property prior to the scheduled auction date. Announcements made on the day of the auction take precedence over all advertising.
PRE-AUCTION OFFERS: All offers must be submitted to Auctioneer no later than 48 hours prior to each scheduled auction.
SALE MANAGER: Please view individual website posting for Auction Sale Manager’s contact information.
GAL# 3575 / GAL# 2643 / GAFL# 66940



